台风眼(自然现象)
的有关信息介绍如下:
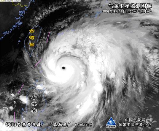
台风眼,即台风中心,是发生在热带海洋上的强烈天气系统,从外围到中心风速逐步增加,然后迅速增加,但到了直径数十公里的中心区域内,风力迅速减小,降雨停止,出现了白天可看到阳光夜晚可见到星星的少云天空。
台风中心(台风眼)是热带气旋中特有的“眼”,气象学中称之为台风眼。如果从水平方向把台风切开,可以看到有明显不同的三个区域,从中心向外依次为:台风眼区、云墙区、螺旋雨带区。台风眼区:非常奇特,那里风力很小,天气晴朗,平均直径为40千米。
想要了解更多“台风眼(自然现象)”的信息,请点击:台风眼(自然现象)百科



